A seleção das principais notícias do dia pela redação do Insider.pro
O Egito e a Rússia reuniram pistas relativas à queda do avião
Um responsável russo afirmou que o voo da Metrojet que carregava 244 pessoas “partiu-se no ar”, antes de se despenhar na península do Sinai. Ambas as caixas negras foram recuperadas, e os responsáveis duvidam da alegação do Estado Islâmico que afirmou ter causado a queda do avião.
A Turquia regressa ao domínio de um único partido
O partido de Justiça e Desenvolvimento do presidente Recep Tayyip Erdogan alcançou 49,4% dos votos nas eleições do fim de semana, conseguindo um resultado melhor do que o esperado e obtendo assim a maioria parlamentar. O grande perdedor foi o maior partido curdo da Turquia, e houve confrontos violentos no dia das eleições na cidade de maioria curda Diyarbakir.
O primeiro-ministro da China definiu objetivos de crescimento de 6,5% para os próximos cinco anos
Li Keqiang tentou acalmar os medos de um abrandamento dizendo que a economia chinesa “está ainda a crescer a um ritmo ordenado”. Ao mesmo tempo a manufatura chinesa surpreendeu os economistas por contrair pelo terceiro mês seguido.
Atualizações relativas às economias dos EUA e zona euro
Nos EUA, o Instituto de Gestão da Oferta irá emitir os seus dados de manufatura e construção. Na zona euro será revelado o índice de gestores de compras de outubro, esperando-se que a França se encontre na linha que distingue expansão de contração.
No Myanmar milhares de pessoas vieram à rua para saudar Aung San Suu Kyi
A ativista pró-democracia apelou aos votos nas eleições do próximo domingo (8 de novembro). Suu Kyi alertou para o facto de o partido no poder não querer alterações genuínas e prometeu que o seu partido poria em marcha reformas mais rapidamente, e ofereceria melhor proteção às minorias.
O Japão, a Coreia do Sul e a China “restauraram completamente” os laços de comércio e segurança
Os vizinhos rivais centraram-se principalmente em assuntos económicos no seu periódico encontro trilateral que esteve interrompido desde 2012 devido a disputas territoriais e divergências históricas. Os países também discutiram os seus objetivos de desnuclearizar a Coreia do Norte.
Os trabalhadores brasileiros da indústria petrolífera estão em greve
O maior sindicato da Petrobras iniciou uma quebra de trabalho para protestar devido à proposta venda de ativos do gigante petrolífero estatal em apuros. A greve afeta os trabalhos nas plataformas, refinarias e outras secções, mas a Petrobras insiste que não afetará a quantidade de petróleo produzido.
A Tunísia definiu planos para duplicar o investimento direto estrangeiro
O ministro das finanças Yassine Brahim afirmou que a nova lei de investimento, esperada para entrar em efeito no princípio do próximo ano, simplificará a forma de fazer negócios no país.
Relatórios de resultados trimestrais
A Visa (NYSE: V), o Commerzbank e a Ryanair estão entre as empresas que comunicam hoje os seus resultados.
François Hollande visita a China para promover conversações relativas às alterações climáticas
O presidente francês visita a cidade de Chongqing, no sudoeste chinês, antes de se deslocar a Pequim. É esperado que Hollande faça lobby junto da sua contraparte chinesa Xi Jinping no contexto de um encontro de alto-nível sobre alterações climáticas que irá ocorrer em Paris.
Os EUA analisam o peso da discriminação racial na seleção do júri
O Tribunal Supremo irá investigar se o perfil racial foi usado na seleção do júri para um julgamento em 1987. Os grupos de direitos humanos argumentam que tal prática é ainda muito comum. Há estudos que demonstram que júris brancos têm menos tendência para absolver suspeitos.
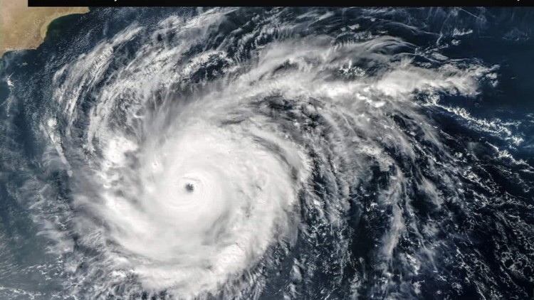
O ciclone Chapala atinge o Iémen
A tempestade gigante, equivalente a um furacão de categoria 4, deverá causar oito vezes a chuva anual no árido país atingido pela guerra. Os ciclones na península arábica são extremamente raros.
Calendário económico
- 08:15 GMT (CHF) Vendas a Retalho (Anual) (Set)
- 08:15 GMT (EUR) PMI Industrial - Espanha, Suiça, Itália, França, Alemanha (Out)
- 09:00 GMT (EUR) PMI Industrial (Out)
- 09:30 GMT (GBP) PMI Industrial (Out)
- 14:45 GMT (USD) PMI Industrial (Out)
- 15:00 GMT (USD) Índice ISM de Emprego no Setor Manufatureiro (Out)
- 15:00 GMT (USD) Índice ISM de Emprego no Setor Manufatureiro (Out)
- 17:00 GMT (USD) Discurso de Williams, membro do FOMC

